04.05.2026Ich wünschte, ich könnte den genauen Duft meiner Clematis in Flaschen abfüllen, denn wow! Es ist einer der wenigen Düfte, die mich nicht zum Niesen bringen oder keine Migräne auslösen, ich liebe ihn so sehr
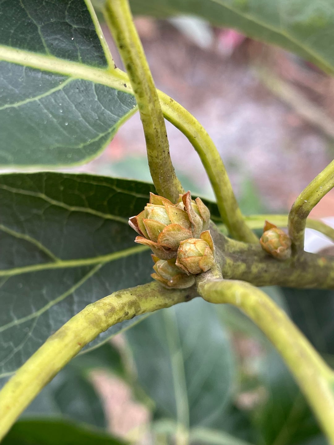
Facebook Twitter LinkedIn Pinterest Bluesky Threads Hey war eine Weile weg, also habe ich nicht gesehen, ob davor Blumen waren. Sieht so eine aufkeimende Avocadofrucht aus? Von: eyemanidiot