04.05.2026Zu Ehren meines verstorbenen Hundes mit demselben Namen habe ich ein paar Kleeblätter gepflanzt, die mir jeden Tag Freude bereiten
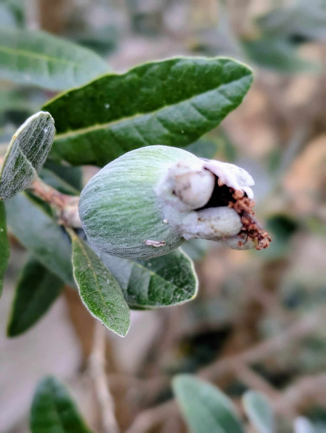
Facebook Twitter LinkedIn Pinterest Bluesky Threads Wissen Sie, um welche Frucht es sich handelt? Kommt es häufig in Großbritannien vor? Google schlägt vor, dass es Ananas-Guave heißt, aber ich habe noch nie davon gehört. Ist es essbar? Danke Von: Travis_F_Bickle