

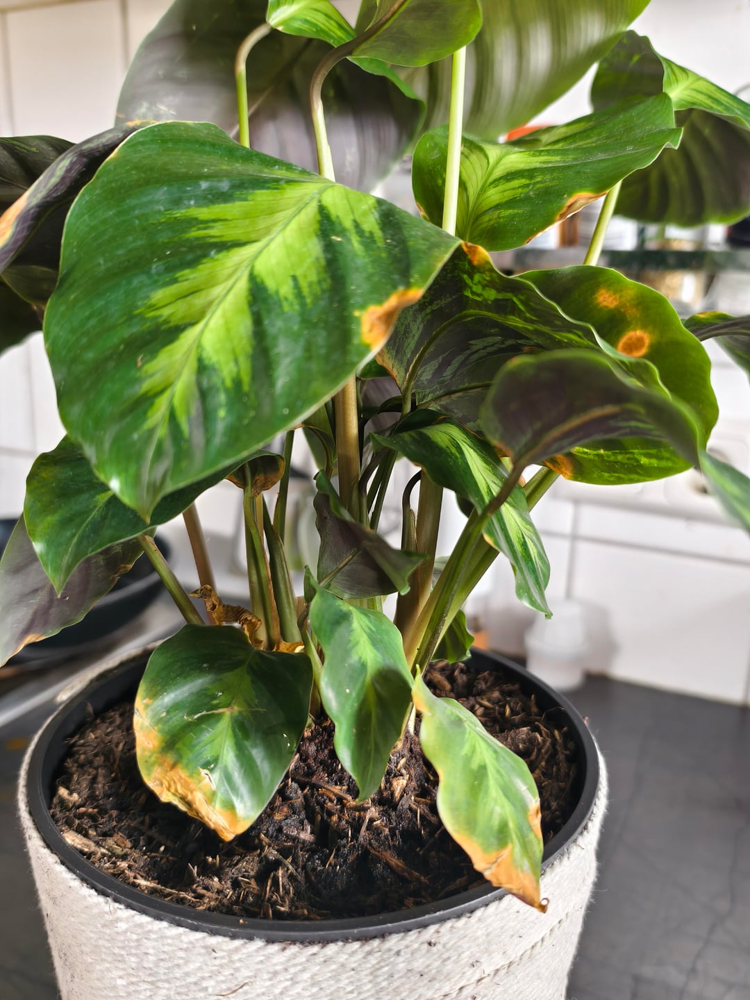
Hi Leute von Reddit, ich fange an mich für Pflanzen zu interessieren und kaufe mir öfter mal ne pflanze vom Discounter. Ich hab sie in einem Selbstbewässerungstopf von Ikea. Gieße aber 1 mal die Woche. Nun meine Frage, was mache ich falsch, bzw was sind das für Flecken ? Ich hatte sie zuvor etwa 1,2m von der Heizung entfernt. Liegt es vllt daran ?
Von: chillexbb